2022年7月31日日曜日

新たな台風🌀

時化‼️🌊
5号が何ともなく過ぎたかと思ったら、未明から飛び起きるほどの強い雨風。
笠利崎灯台の風実況を見ると20mを超えてる…台風やんっ❗️
明るくなるのを待ち、船とショップの被害確認。異常無し。高台から海を見に行くと…、
台風やんっ‼️ゲストへクローズの連絡🙏お昼過ぎには台風6号の発生となりました🌀
当日朝に判断しますが、明日、明後日もダメっぽいです💦
今年はいきなり台風が流行のようです🙄雲の塊があったら台風になるかもしれません…

2022年7月27日水曜日

直撃コース🌀

トウカムリ
写真手前の石のようなのはトウカムリ貝。砂地を好んで時に潜ったりして生活しています🐚

さ〜て、これから台風対策です💦
今日現在、発達はあまりしないようですが直撃コースの予想です🌀

2022年7月25日月曜日

8年ぶり

イェ~イ⤴✋
8年ぶりにご来店(^^)ファンダイビングと体験ダイビングのミックスコース🤿
体験ダイバーは既に5回も経験済みなので、様子を見ながらファンダイビングのコース取りを!
ウミガメや魚の群れ、エイにソフトコーラルの群生など。感動しておられましたヽ(`▽´)/

熱低が不気味に近づきそうな予報なので、ついでに西へ回航しました🌀
水温:30℃

2022年7月24日日曜日

惜敗

七ツ瀬、最北の根
今日も温〜い海中で、マスクの中だけ汗をかいてました(^_^;)
潮が大きく動き始めたので、場所によって濁りが出てきました。

大島高校野球部、県大会決勝は惜しくも2-3で準優勝⚾うちも午前中はお休みにして応援しました(^^)
野球部の皆さん、お疲れさまです👏

2022年7月23日土曜日

30℃

アカヒメジ玉🐟🐟🐟
今日も夏い〜🎶元気に東側3ボートダイビング🤿潜る前の船上から透っけ透け〜😁
30mは見える透視度の中、群れや地形を満喫です⤴
明日午前中は野球観戦の為、お休みです。

ウェットスーツ…着なくてもいいくらいだな🙄
水温:30℃

2022年7月22日金曜日

今日もワイドに

サンゴと群れる魚の景観〜🎶
今日も元気に東側3ボートダイビング🤿もう、どこを潜ってもサイコーです✨
地形やサンゴや群れを楽しみましたが、やはり七ツ瀬の潮回り!
魚グッチャリで今一番楽しいポイントですよ⤴

ここまで上がると台風が心配になってきた…
水温:29℃

2022年7月21日木曜日

わいわいど⤴

アカヒメジ玉〜🐟🐟🐟
東側で3ボートダイビング🤿青い海が絶好調です✨
今日はワイド三昧‼️明るい砂地の根はカラフルな生え物と魚で満載🐠
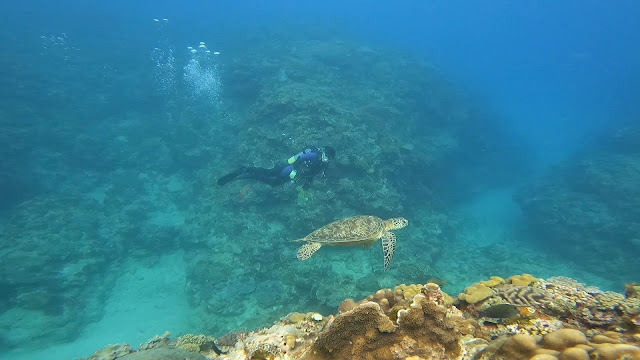
ソフトコーラルの群生地を流すとアオウミガメがしばし遊んでくれました🐢
アカヒメジ玉のポイントは少々荒れててもアンカリングできる海況ならハズせない‼️
今日も夏らしくもあり、奄美らしいポイントで遊び倒しました〜😁

水温:28℃

2022年7月20日水曜日

透視度ダウン⤵️

地形がグッドでした(^^)
奄美大島午前着後、2ボートダイビング🤿東側の外海ですぞ〜⤴
先日の大雨続きで透視度がダウン…それでもさすがの東側!魚影の濃さでカバーできます😁
スズメダイの大群で遊んでると、背後に気配…大きなイソマグロの登場でした⤴🐟
ニューポイント「ラビリンス」も🎶めっちゃ楽しかったようです😁

明日も楽しみ〜
水温:28℃

2022年7月16日土曜日

極上〜🎶

視界30mオーバー⤴
天気なんとか持ってくれました〜(^^)

キャンセル続出の3連休…まぁ、仕方無いです…💦

2022年7月15日金曜日

凪ぎの外海♪

ウミガメと一緒に〜
今日も夏のような海🏝潜る前の船上からも海中の様子が丸見えです👀
ソフトコーラルが広がる景色を流したり、真っ白な砂地に癒やされたり…
少し潮が効いてたら、魚の群れがいい感じな塊になったりとワイド目線で楽しみました😁
大物はイソマグロ・アオチビキ・ネムリブカ・ツカエイ・アオウミガメなどなど👍

水温:25-27℃

2022年7月12日火曜日

涼しげな写真を

洞窟探検〜
東側は地形もおもしろい!真っ暗になる所、レーザービームのように光が差し込む所、複雑な穴が続く所などなど。
水深も15m以内の所がほとんどで安心安全に潜れます(^^)晴れた日は是非リクエストしてほしいです⤴

手続きなどの用事やショップの掃除などで今日も陸作業。ホント溶けそうな暑さ…🥵
明日は…何もなければ海行ってこー

2022年7月11日月曜日

危険な暑さ…

東側の人気ポイント「五円玉」
ゲストの入れ替えの間にタンクチャージや洗車、船の機関メンテなどを一日しました。

少し動くだけで汗だくに…外に出るだけで感じる危険な暑さです…
3年前くらいから毎年軽い熱中症になる癖が付いてるので、気をつけねば。

2022年7月10日日曜日

20年ぶりと30年ぶり

アヤコショウダイもアカヒメジ玉に参戦
サーフィンの先輩と20年ぶりに再開!そしてダイビングは30年ぶりらしい(・o・)
一本目はチェックダイブ、二本目は今が旬のポイントへ〜。
どちらも奄美らしい真っ白で明るい砂地とソフトコーラルの群生が広がるエリア。
ウミガメもたくさん、豪快な地形と魚の大群、スーパーワイドに楽しみました〜🎶

さて、南海上にぐるぐるらしき怪しい雲塊…
水温:27℃

2022年7月9日土曜日

今日もわいわい

今日は別場所のアカヒメジ玉へ🐟🐟🐟
どっぷり夏の青い海に浸かってます✨今日ももちろんワイド目線で東側3ボートダイビング🤿
少し曇り空だったけど、真っ白な砂地なので水深20mでも明るく感じますよ〜(^^)
連日ワイド三昧!夏はこんな海で潜らなきゃ勿体ないですよ〜😁

水温:26-27℃

2022年7月8日金曜日

わいわいど〜

アカヒメジ玉〜🐟🐟🐟
連日暑さが増していきます🥵自分も夏の海を満喫しながら頑張ってガイドしています💪
同じポイントでもコースを変えるとまた違った見方や発見があり楽しいですヽ(`▽´)/
透視度も平均30mを超え、奄美ブルー全開✨メートル級のカスミアジに20匹以上にお出迎えされたりしました⤴
今が見頃のアカヒメジ玉!巨大な魚の塊が形を変えながら動くのを目の前で見れます(^^)
島の方言ではたくさん・いっぱいの事をわいわいと言います。まさに、わいわいど〜!

明日も溶けそうな天気になりそうだ…

2022年7月7日木曜日

すっコーン✨

体験ダイビングのお二人〜
朝一に船を回航!昨日の大雨で西側はかなりニゴニゴ〜でしたが、東側は抜群⤴
すっコーンと抜けた最高の海でした✨魚群に癒やしの砂地にと、夏のワイドな海を〜(^^)

明日もワイド目線でのガイドをがんばります〜( ̄^ ̄)ゞ
水温:26℃

2022年7月6日水曜日

出港準備

砂地の根は大賑わいヽ(`▽´)/
今日は船のメンテを…軽石除去や劣化したホースを全部新しいのに交換しました✨

さぁ〜、明日から海復帰!台風明けの海はどうなんでしょう(?_?)

2022年7月5日火曜日

徐々に回復〜

地形ポイントが外せない季節
大雨、大丈夫でしょうか??奄美は青空が戻り、暑さが再来…日焼けに注意ですよ〜。
今日は風強く出港を控えました。湾内、見た感じ綺麗なんだけど潜ったらダメダメ💦
明後日以降、風向やウネリを見ながら東側に戻る予定です。
台風の後しばらくは濁りや流れが読めずに苦戦することが多いです…(^_^;)

2022年7月4日月曜日

台風一過

わちゃわちゃ〜
とある外海の地形ポイントにキンメモドキがたくさん!地形とセットで撮るといい感じ⤴
台風後はどうなってるかなぁ〜。小魚は今が最盛期!これからは増えるより減る一方です…

今朝から昼過ぎまでが一番風が吹いたかな…4号は何事も無く過ぎ去りました。
これから進路の周辺に当たる皆さん、勢力が弱いですが雨に注意ですよ〜

2022年7月3日日曜日

切り上げ💨

小さなサンゴにデバスズメダイわんさか🎶
昨日から13m以深は冷水…💦だんだん風も強くなり、湾内2diveで切り上げました。
それでも頑張って甲殻類やウミウシなどのマクロネタを頑張って捜索しましたよ〜(^^)
海中はニゴニゴです。明後日、7/5まで海遊びは終日オフと決定しましたm(_ _)m

勢力はあまり強くならないものの、のろのろ台風🌀まとまった雨が長引くのが心配ですね…
水温:22-26℃

2022年7月2日土曜日

まだ全然🌀

外海の地形〜
風も弱く難なく3ボートダイビングこなせました⤴🤿
台風の影響で潮が読めず、湾内でも流れのあるポイントも💦
地形・群れ・ウミウシなどを楽しめました〜(^^)

明日は港のそばなら大丈夫だと思いますが、朝に判断しようと思います…

2022年7月1日金曜日

台風接近中🌀

砂地の根にて
台風が接近中…💦西側湾内2dive、外海1dive🤿すべてボートダイビングです(^^)
マクロフォト派のゲストさんなので、あまり動かずにのんびりまったり楽しみました〜♪

明日から風が出てくるかなぁ。ひとまず午前2diveは出港予定です〜